バリ島ダイビング&シュノーケリングサービス jellyfish(バリ島くらげ村)でございます。
今回はウミガメとも出逢えたゲスト様のシュノーケリングツアーをご紹介させて下さい(#^^#)
気持ちいいなー♪
もう何度もバリ島にお越しになられ、殆んどの観光地は巡り、数々のマリンツアーにも参加されたゲストK様、今回はのんびりとお一人様シュノーケリングでご予約を頂き、まだ行った事がないというパダンバイのリクエストを頂き、ご案内して参りました(*^^*)
そんなK様のシュノーケリングツアーの模様をショート動画でご覧下さい!
中々完全には明けない雨季の影響か、透明度はちょっと落ち気味で、途中からウネリが出てきてしまいましたが、ポイントを変えながら のんびりとお楽しみ頂く事が出来ました!
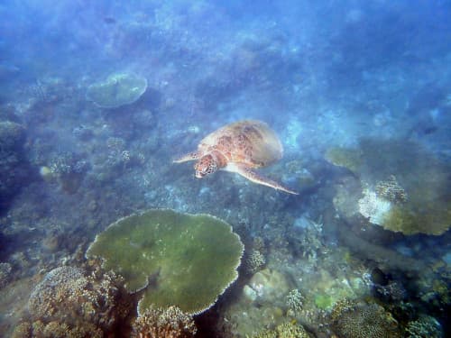
なんと入ってしょっぱなから


ゆ~っくり泳いでいるアオウミガメさんと出会うことができ、バッチリ2ショット撮影👍
こちらのお写真もどうぞ!




パダンバイのホワイトサンドや手の届きそうなところで泳いでくれるたくさんのお魚達を、お時間いっぱいまでお楽しみ頂けました(≧▽≦)
「きれいだなー」「気持ちいいなー」
などのコメントも頂きました♪
今回はバリ島くらげ村にお越し頂き、本当にありがとうございましたm(__)m
是非次回は奥様もご一緒にお越し下さいませ!


