穏やかなパダンバイでのんびりシュノーケリング
初バリ島旅行のR&Nさんご夫妻、バリ島くらげ村のシュノーケリングで遊びに来て頂きました(*^▽^*)
シュノーケリングのご経験はおありという事で、ポイントのご説明やシュノーケリング器材のご説明をサクッと済ませ、安全にのんびりとご案内させて頂きました。
とにかく泳がれるご主人のRさん、それについて行く奥様のNさん、その模様をショート動画でご覧下さい!
ほぼ凪の海で、流れもなく、温かい!




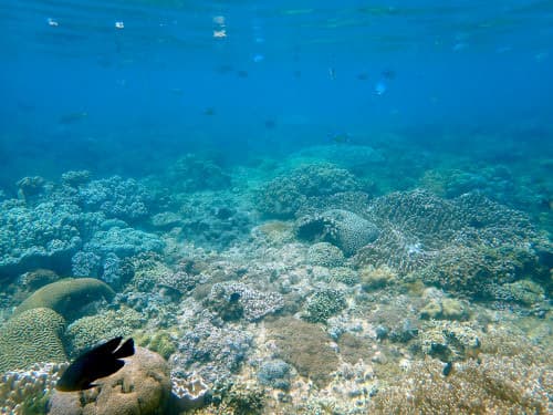
リーフのサンゴ礁もキレイで、相変わらずお魚もたくさん泳いでます。

ジュクン(バリ島のトラディショナルボート)のキャプテンがウミガメを見つけてくれ、シュノーケリングでウミガメも見る事ができました!
静かなお二人でしたが、密かにテンション上がってたと思います🤭
この度はバリ島くらげ村に遊びに来て下さり、本当にありがとうございました!
是非次回もお声をお掛け下さいませm(__)m
今回ご案内したポイントはコチラです!
安心安全のんびりご案内、バリ島くらげ村のシュノーケリングツアー!


